Începe reorganizarea traficului rutier în Gheorgheni / 500 de parcări cu abonament și plata orară
- Scris de Ziua de Cluj
- 25 Iun 2019, 11:33
- Administraţie
- Ascultă știrea
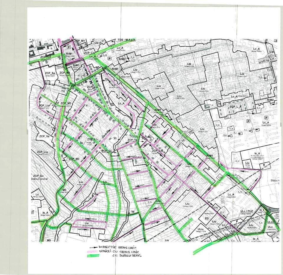
Reorganizarea traficului rutier în cartierul Gheorgheni începe în luna iulie 2019. În urma instituirii sensurilor unice, vor rezulta un număr de 500 de locuri de parcare.
"Pe Bulevardul Nicolae Titulescu lucrările sunt finalizate, mai trebuie să facem marcajul, pe care îl putem trasa după o perioadă de cel puțin 21 de zile de la asfaltare, vom face marcaje cu bicomponent. De asemenea, în luna iulie vom trece la implementarea sensurilor unice și la reglementarea circulației din cartierul Gheorgheni. Practic discutăm de o remodelarea a traficului din întreg cartierul, este un proiect pe care l-am început anul trecut. Am început cu strada Iugoslvaviei și vom continua și cu celelelalte în tandem. În urma acestor schimbări, vor rezulta peste 500 de locuri de parcare. Vor fi parcări atât cu abonament, cât și cu plata orară. Vor fi și piste de biciclete pe anumite străzi", a declarat viceprimarul Dan Tarcea, la un post de radio local.
Unde sunt prevăzute sensuri unice în Gheorgheni şi Andrei Mureşanu
Conform municipalităţii, în cartierele Gheorgheni şi Andrei Mureşanu se doreşte instituirea de sensuri unice pe străzile din interiorul perimetrului format de Bd. N. Titulescu, str. Liviu Rebreanu, str. Albac, str. Septimiu Albini, str. C. Brâncuși - Bd. N. Titulescu şi Calea Turzii - str. Milton Lehrer, P-ța Cipariu, str. C. Brâncuși, str. Fagului - str. Trifoiului - str. C. Nottara - str. Miksath Kalman - str. Eftimie Murgu - Calea Turzii. Aceste propuneri au fost supuse dezbaterilor publice cu cetăţenii.
Benzile dedicate de autobuz, funcţionale de aprope 3 ani
La începutul lunii aprilie 2019, Primăria Cluj-Napoca a implementat o bandă dedicată transportului în comun în cartierul Gheorgheni, pe segmentul Septimiu Albini - Cipariu, de pe Bulveradul Titulescu. Începând din 15 iunie 2019, banda a fost extinsă până la Interservisan. Partea a doua a anului 2019 viza introducerea benzii dediate de bus de cealaltă parte a Bulevardului Nicolae Titulescu (sensul centru spre Iulius Mall), însă administrația a renunțat momentan la această idee, pe acest sens circulând doar două linii de autobuz.
Primăria Cluj-Napoca a implementat, în vara lui 2016, un proiect pilot în zona centrală a oraşului: o bandă dedicată mijloacelor de transport în comun, pe o lungime de circa 500 de metri, din Piaţa Cipariu înspre Regionala CFR. La final de august 2017 a fost inaugurată şi banda care pleacă de la biserica Sf. Petru (Mărăşti) și ajunge până la Primărie (centru), cu o lungime de 1,6 km. În viitor, după lărgirea străzii Calea Mănăştur, banda de autobuz urmează să fie extinsă până spre ieşirea din oraş.













