Foto Cum reorganizează primăria traficul în Gheorgheni. Consultări cu locuitorii
- Scris de Ziua de Cluj
- 11 Iul 2018, 12:44
- Administraţie
- Ascultă știrea
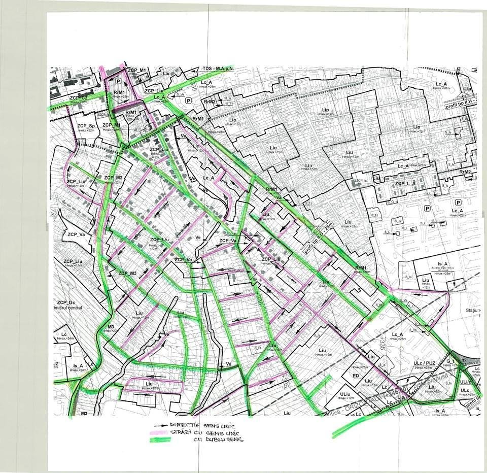
Primăria Cluj-Napoca pregătește schimbări majore în cartierul Gheorgheni. Va institui sensuri unice pe mai multe străzi, pentru fluidizarea circulației, dar nu înainte de a sta de vorbă cu cetăţenii.
O dezbatere publică pe tema instituirii unor sensuri unice în cartierele Gheorgheni și Andrei Mureșanu va avea loc în 19 iulie, la Școala gimnazială Constantin Brâncuși, de pe str. Horticultorilor nr. 1.
"Având în vedere rețeaua stradală existentă, este posibilă instituirea unor sensuri unice care ar elibera trotuarele pentru ușurarea circulației pietonilor (cu sau fără amplasarea de stâlpișori), fluidizarea circulației, reducerea numărului de conflicte din intersecții", transmite viceprimarul Dan Tarcea.
Se vor propune spre analiză și dezbatere instituirea de sensuri unice pe străzile din interiorul perimetrului format de:
1. Bd. N. Titulescu, str. Liviu Rebreanu, str. Albac, str. Septimiu Albini, str. C-tin Brâncuși - Bd. N. Titulescu
2. Calea Turzii - str. Milton Lehrer, P-ța Cipariu, str. C-tin Brâncuși, str. Fagului- str. Trifoiului- str. C-tin Nottara - str. Miksath Kalman - str. Eftimie Murgu - Calea Turzii













